


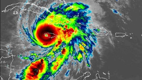
El huracán Melissa tocó tierra este martes alrededor de la 1:00 p.m. ET cerca de New Hope, Jamaica, como una tormenta de categoría 5 con vientos sostenidos de 185 mph, según el Centro Nacional de Huracanes (NHC).
Se trata del huracán más fuerte que ha golpeado Jamaica en registro histórico y uno de los más intensos en toda la cuenca atlántica, empatado solo con el huracán Dorian de 2019 y el huracán del Día del Trabajo de 1935.
El NHC confirmó que Melissa avanzaba hacia el norte-noreste a 9 mph, y que su paso sobre Jamaica traerá vientos catastróficos, lluvias intensas e inundaciones peligrosas. Previamente, los vuelos de reconocimiento habían detectado vientos de hasta 180 mph y una presión central mínima de 896 mb (26,47 pulgadas).
Ya se han registrado muertes y heridosEl ministro de Salud jamaicano, Christopher Tufton, confirmó que al menos tres personas murieron y trece resultaron heridas durante los preparativos para la llegada de Melissa.
Las víctimas fallecieron por la caída de árboles o electrocución mientras realizaban labores de prevención. Tufton pidió a la población extremar la precaución y mantener la seguridad durante la preparación.

El primer ministro, Andrew Holness, señaló que el Equipo de Respuesta a Desastres (DART) de las Fuerzas Armadas está activo para brindar socorro, recuperación y reconstrucción. Holness reconoció que, aunque “hay margen de mejora”, todos los recursos se emplearán “para el bien nacional” frente a un huracán que podría causar “una disrupción significativa”.
Melissa superó al huracán Gilbert de 1988, que tocó Jamaica como categoría 4, y se convierte en la tormenta más poderosa en impactar la isla desde entonces. Durante las próximas horas, se espera que su centro se mantenga sobre el territorio jamaicano, generando condiciones extremadamente peligrosas y potencialmente mortales.
El NHC enfatizó que los residentes deben permanecer en sus refugios y no salir hasta que las condiciones se normalicen, debido al riesgo que representan la pared del ojo y los vientos extremos.
Source link
